Fin de semana para reforma integral en Sigrás, Cambre
Casa · Venta
- Habitaciones: 1
- Habitaciones dobles: 2
- Baños: 1
- Construidos: 54m2
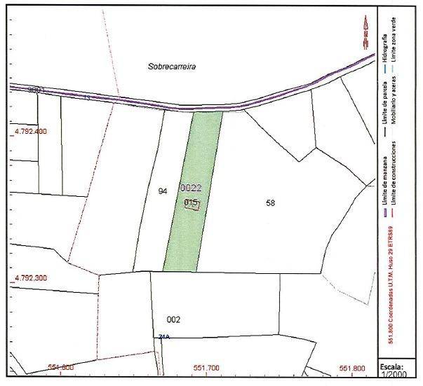
- Parcela: 2.285m2
- Calificación energética: En proceso
- Para reformar
- Casa
- Cambre Sigras
- Todo exterior
- Jardin
Descubre este fin de semana para reformar, ubicado en la tranquila zona de Sigrás, Cambre. Con una superficie construida de 54 m² sobre una amplia parcela rústica de 2,285 m² sin cerrar, este inmueble ofrece múltiples posibilidades. La propiedad cuenta con 3 habitaciones , de 9, 7 y 6 m2 aproximadamente, y un baño completo. Esta propiedad necesita reformas significativas, tales como, cambio de ventanas y puertas, acometida de electricidad y mejora de la instalación, reforma de baño, etc. Debido a que la vivienda requerirá de una reforma para poder ser habitada, esto podría limitar la financiación dependiendo de la entidad bancaria. Sin embargo, su estructura es sólida y de doble tabique, con placa sanitaría. La cubierta está en buen estado lo que garantiza el potencial del proyecto a realizar.
Dispone de un anexo en la parcela que, previa actualización podría ser utilizado como trastero o cuarto de herramientas. En cuanto a suministros cuenta con fosa séptica, pozo de barrena (motor a reparar) y luz sin conectar. No tiene calefacción.
En definitiva, una propiedad que realizando una reforma sencilla puede convertirse en una opción ideal para pasar un fin de semana rodeado de naturaleza y en la mejor compañía.
Inmueble en exclusiva de M3plus. Cuenta con nuestra experiencia de más de 16 años en el sector para vender tu casa o conseguir financiación.
*El precio indicado en el anuncio no incluye ni muebles, ni impuestos ni gastos de financiación.
En el caso de obra nueva, el IVA será del 10%. Con respecto al Impuesto de transmisiones patrimoniales (ITP) estará comprendido entre el 0 y el 8%, dependiendo de las condiciones particulares del comprador. Los gastos de notaría y registro oscilarán entre 900 a 2500 € aproximadamente y no se aplica ninguna comisión inmobiliaria al comprador.
Este anuncio puede contener errores y se muestra a título informativo.
Expertos Inmobiliarios en Cambre, Culleredo y Oleiros
Cambio de divisas
- Libras: 0 GBP
- Rublo Ruso: 0 RUB
- Franco Suizo: 0 CHF
- Yuan Chino: 0 CNY
- Dolar: 0 USD
- Corona Sueca: 0 SEK
- Corona Noruega: 0 NOK
- Enero 0 €
- Febrero 0 €
- Marzo 0 €
- Abril 0 €
- Mayo 0 €
- Junio 0 €
- Julio 0 €
- Agosto 0 €
- Septiembre 0 €
- Octubre 0 €
- Noviembre 0 €
- Diciembre 0 €
Cº
